Relocationand Client Services

Refine Search

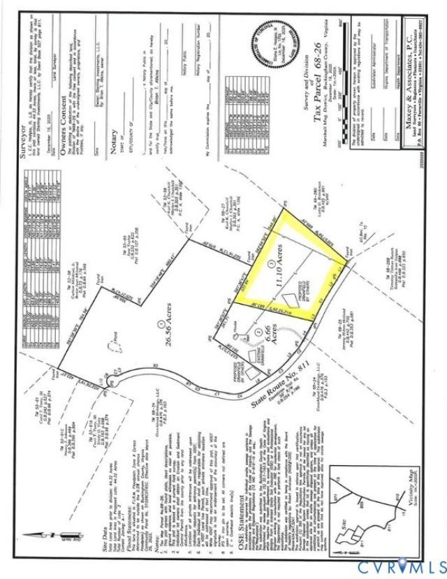
0 Equestrian Trail Road , New Canton, VA 23123

$89,900
  • 0 Equestrian Trail Road , New Canton, VA 23123 Main Photo

2 Total Photos [Click to View All]

New to the Market Active
LOT SIZE 11.100 acres MLS#2608001
STATUSActive PROPERTY TYPELand - Residential SUBDIVISIONBuckingham

Property Description

What a homesite!! Nicely wooded in large Hardwoods. Approved for a conventional septic system. Electricity on the property. A quiet setting! Everything you want in a building site, but difficult to find! Additional adjoining land available. Waiting on final plat approval by the County. Real estate taxes to be determined by the County.

0 Equestrian Trail Road | MLS# 2608001

This land located at 0 Equestrian Trail Road , New Canton, VA 23123 is currently listed for sale with an asking price of $89,900. The property has approximately 11.10 Acres. Search New Canton real estate on www.move-rva.com today.

Property Features

Property Type: Land - Residential
Lot Size: 11.10 Acres
Taxes: $0

Feature Descriptions

Fencing: None
Lot: Rolling Slope
Parcel#: 68 26
Sewer: None
Utilities: Natural Gas Not Available, Phone Not Available, Sewer Not Available
Water: None

Local Schools

High School: Buckingham
Middle School: Buckingham
Elementary School: Buckingham

Listed By / Shown By

Listed By

Agency Name: State Wide Realty

Shown By

Agent Name: Relocation and Client Services
Agent Phone: (804) 408-9790
Agency Title: Joyner Fine Properties

IDX logo

Estimate Your Payment

Estimated Payment

$ 480.80 per month $454.58 Principal & Interest $0.00 Property Tax (data not provided by mls) $26.22 Homeowner's Insurance

Change Payment Information

%
years/fixed
yearly
yearly (est.)
(Payments are an estimate and may vary by lender)
Virginia Credit Union. Find out exactly how much home you can afford. Please contact: LAURA STEVENS. Office: 804-967-2450, Cell: 804-218-7876, Fax: 804-477-1442, laura.stevens@vacu.org, NMLS: 189613

Login to My Homefinder

Pixel